




越前市矢放町から事業用地に最適な約690坪の売土地が登場しました♪
こちらがあるのは、8号線から車で2分の問屋センター近くです。
近郊には、マックスバリュー武生店、ホームセンターみつわ武生店(徒歩5分)や、バロー北日野店(徒歩9分)、ローソン越前畑野店(徒歩10分)、越前らーめん塩てつ小野谷店(徒歩7分)等があります。
またR6年春に開業予定の北陸新幹線越前たけふ駅に車で7分!、武生インター(車で6分)、8号線に車で2分と交通のアクセスは大変良好です♪
北陸新幹線越前たけふ駅の近くで事業用地をお探しの方、是非いかがでしょうか?
その他、些細なことでも何でもお気軽にお問い合わせください。
お待ちしております。
校区 北日野小学校、万葉中学校
- 価 格
- 2064.4万円
- 所在地
-
福井県越前市矢放町
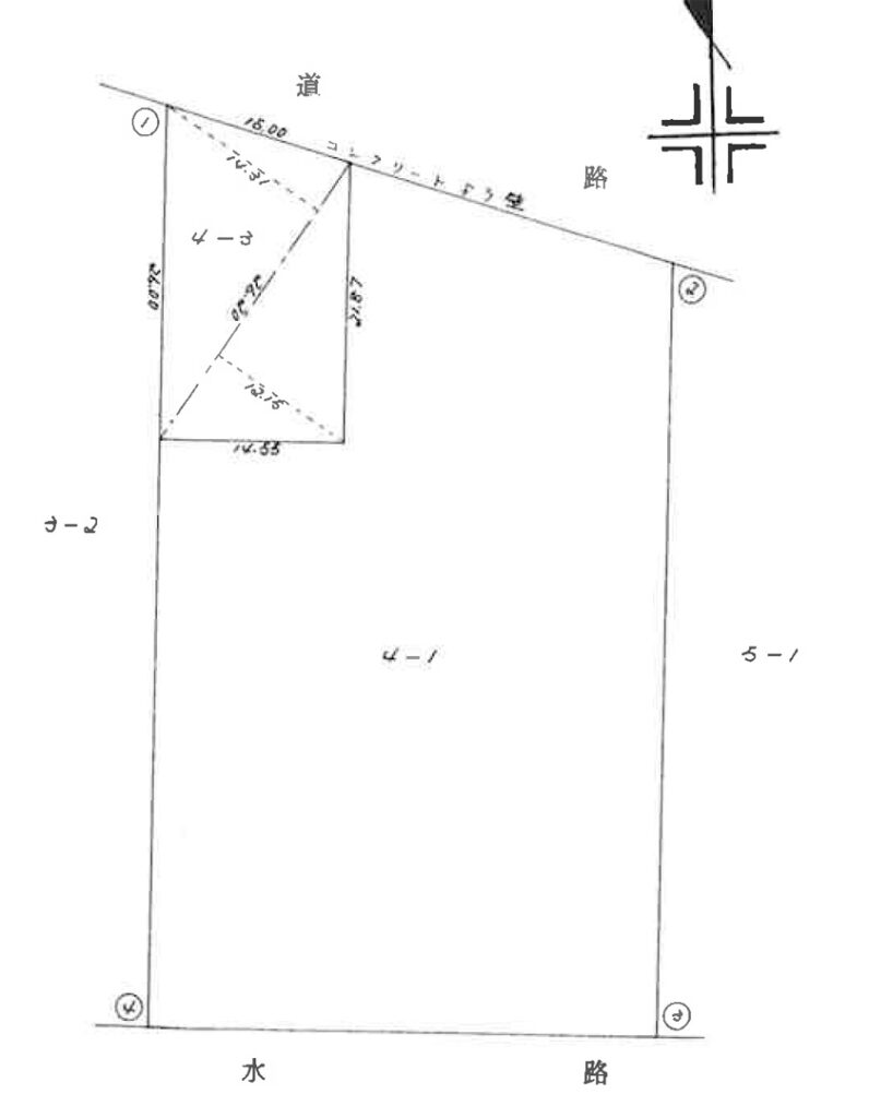
- 土地面積
- 688.14坪
- 坪単価
- 3万円
- 交 通
-
『北陸新幹線越前たけふ』駅に車で7分
|
|
Loading...
| 取引態様 | 仲介 | ||
|---|---|---|---|
| 引渡/入居時期 | 相談 | 現況 | 田 |
| 地目 | 田 | 用途地域 | 準工業 |
| 都市計画 | 非線引き区域 | 地勢 | 平坦 |
| 土地面積 | 688.14坪 | 土地面積計測方式 | 公簿 |
| 土地面積(㎡) | 2275m² | ||
| 建ぺい率 | 60% | 容積率 | 200% |
| 土地権利 | 所有権 | 接道状況 | 一方 |
| 接道方向1 | 北 | 接道間口1 | 約26m |
| 接道種別1 | 公道 | 接道幅員1 | 約12m |
| 周辺環境 |
北日野小学校 万葉中学校 |
||
| 設備・条件 | 事業用地向き。前面道路12m | ||
| 物件番号 | 2264 | ||
※物件掲載内容と現況に相違がある場合は現況を優先と致します。

















